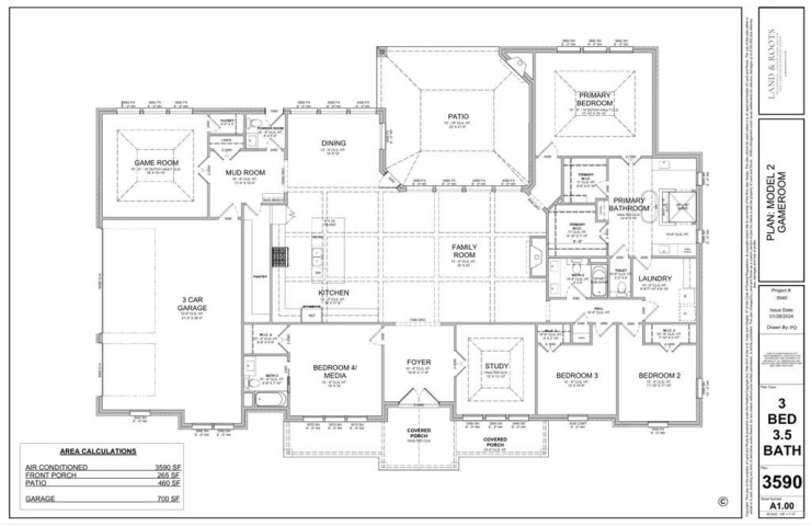
3
3
3590
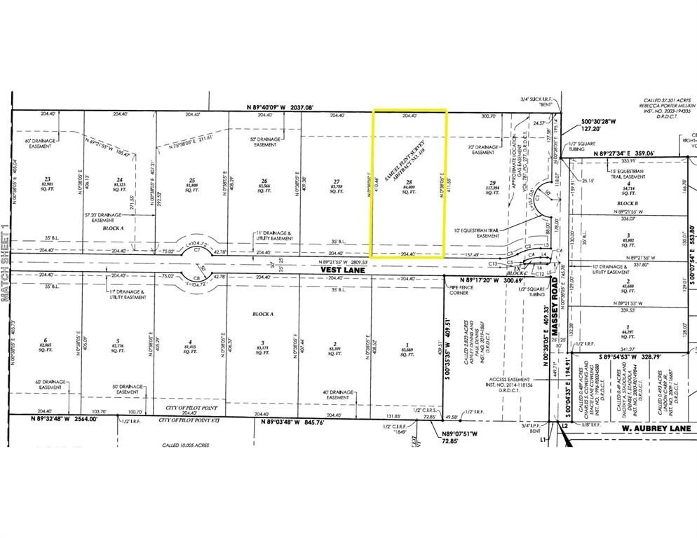
Property Description: Come build the custom home of your dreams with local builder, Scott Post Homes! This listing features a 3590 SF one story custom new build home in the highly sought after community The Hills at Pilot Point. Lot 28 boasts 1.91 acres and is cleared for home location and ready to build! Buyer does not have to build this home in the listing. Just showing an example of quality and pricing. Estimated build time 6 months. No HOA, concrete road and pond view directly behind the lot on open ranch property. This beautiful modern farmhouse plan offers 11’ - 13' high ceilings & a vaulted living room. Three bedrooms with an optional fourth bedroom in lieu of the Media Room. With large covered double porch access, this open living room-dining concept boasts the perfect space for family and hosting. Horses allowed. Barns and or metal buildings allowed. Built in this community, all elevations and metal buildings require architectural approval - which helps you to maintain value for resale. We have special low interest rates starting at 5.50 percent (for adjustable-rate mortgage loans) on our home builds - Call Today!