0
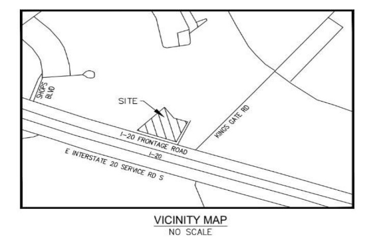
Property Description: Prime Commercial Land Opportunity at I-20 Service Road, Willow Park, TX. Positioned along the I-20 Service Road in the rapidly expanding Willow Park corridor, this commercial tract offers exceptional visibility and direct access for a variety of potential uses, including restaurant, entertainment, retail, or mixed-use development. The site is located west of Kings Gate Road and just east of The Shops at Willow Park and Shops Boulevard—placing it in the heart of Willow Park’s most active commercial hub.