0
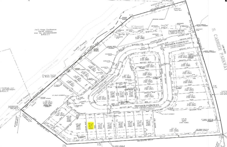
Property Description: *Total of 4 lots.. They must all be sold together. Price listed above is price per lot. 832-838 Premier Parkway* Bring your own builder & your own special ideas! Don’t miss this rare opportunity to build your dream townhome or investment property in the heart of Grand Prairie. Located at 836 Premier Parkway, this 3,180 sq ft open lot offers a clean slate in a well-established and growing area. With water and electricity already available on-site, you’re one step closer to bringing your vision to life. Nestled in a prime location just minutes from major highways, shopping, dining, and entertainment, this lot provides the perfect balance of convenience and comfort. Whether you're a builder, investor, or future homeowner, this is a fantastic opportunity to secure a great piece of land in a thriving community.