0
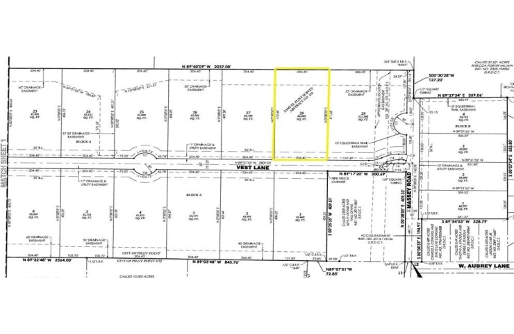
Property Description: Come build your dream custom home with Scott Post Homes on Lot 28 in The Hills at Pilot Point! 1.9 Acres with an extra wide road frontage of 204 feet by 411 feet deep! The Hills at Pilot Point is an exclusive 33 lot acreage development bordering Corps of Engineer land around Lake Ray Roberts near the Jordan Creek State Park and the equestrian, hiking, and biking trails that run between the Isle de Bois & Jordan Creek State Parks. 2 lots available on Vest Lane, Lots 24 & 28. The neighborhood is deed-restricted, 2500sf min home size, horses allowed, city water, & concrete streets. Barns and or Metal buildings allowed. Enjoy nature with 10 Ft Equestrian Trail at end of Development to the Corps of Engineers land to hike & fish at Lake Ray Roberts. Scott Post Homes 6 to 7 month build time. Barns & Shops Allowed. Enjoy no HOA & Low Tax Rate. Additional 40 plus one to three acre lots available in Denton, Collin and Grayson County. Lots in Tioga that back up directly to the corp property, walk from your lot to Lake Ray Roberts. SPECIAL LOW INTEREST RATES JUST LOWERED to 5.5% interest on our OTC loan program!